OMEGA REAL ESTATE CY  Registration: N. 1097,  Licence N. 310 / E

 

  • € 120.000
  • Phone
    Please insert the symbols below.

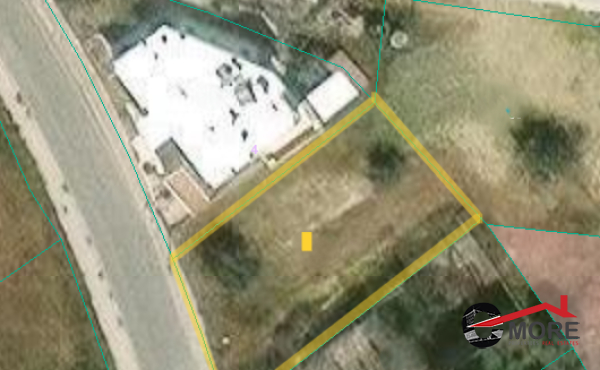
    ID2123 - Πωλείται οικιστικό οικόπεδο στο Τσέρι !! ΓΙΑ ΤΟ ΟΙΚΟΠΕΔΟ ΥΠΑΡΧΕΙ ΕΤΟΙΜΗ Η ΠΟΛΕΟΔΟΜΙΚΗ ΑΔΕΙΑ ΓΙΑ ΠΟΛΥΚΑΤΟΙΚΙΑ !! For sale Plot

     Description

    Πωλείται οικιστικό οικόπεδο στο Τσέρι !! ΓΙΑ ΤΟ ΟΙΚΟΠΕΔΟ ΥΠΑΡΧΕΙ ΕΤΟΙΜΗ Η ΠΟΛΕΟΔΟΜΙΚΗ ΑΔΕΙΑ ΓΙΑ ΠΟΛΥΚΑΤΟΙΚΙΑ !! • 530 τ.μ • Ανήκει στην πολεοδομική ζώνη Κα6 με ΣΔ90% , ΣΚ 50% , μέχρι 2 ορόφους (10 μέτρα ύψος) Τιμή : €120.000 + ΦΠΑ ΓΙΑ ΠΕΡΙΣΣΟΤΕΡΕΣ ΠΛΡΟΦΟΡΙΕΣ ΚΑΙ ΡΑΝΤΕΒΟΥ 97891494 / 99678449 – O.R.E LTD/LN.310E /RN.1097 C-more properties real estate

     Share

    Facebook   Tweet

     Features

     Tell a Friend

    Please insert the symbols below.
           

      Staff1 Account

      Request more Details

    Please insert the symbols below.

     Related properties

    Related Properties
    Properties in same Property type
    • Basic information
    • (€). 0
      (€). 10,000,000
    • Address
    •  
    •   Advance search